Description
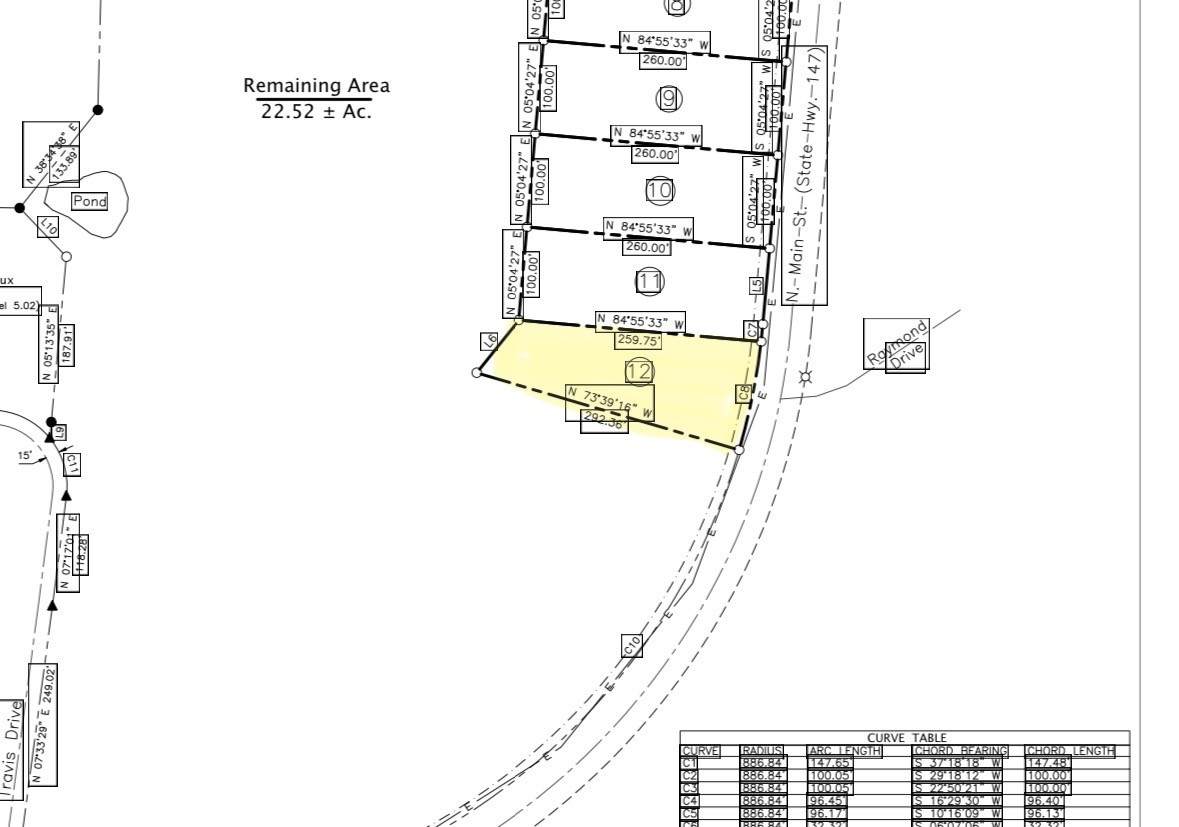
0.58 Acres with close proximity to the KY LAKE \\\ Utilities include: electric/ city water @ road, CITY SEWER will be available 30-60 days /// **... (( 118+/- ft of road frontage )) .. this lot is cleared with a awesome lay of land for building!!! ** FIBER INTERNET AVAILABLE ** Calling all L A K E L O V E R S KY LAKE short drive away! Cane Creek full service Marina approx 18 min drive. **NO HOA.. See property restrictions in place to uphold the integrity of your property in The KY Reserve** || No Mobile Homes on lots 7-12 || NEW Survey Available **AWESOME COUNTRY SETTING with convenience** (( More acreage options available for purchase - ask listing agent for more info )) LOCATION: Close proximity to schools, KY Lake, Land Between the Lakes recreation area, McKinnon Air Strip, boat ramps, and approx. 30 min commute to Clarksville and Dickson!! See or request PDF documents of survey, restrictions, and more from list agent.
-
0BEDS
-
0.58ACRES
-
0BATHS
-
01/2 BATHS
School Information
Description
0.58 Acres with close proximity to the KY LAKE \\\ Utilities include: electric/ city water @ road, CITY SEWER will be available 30-60 days /// **... (( 118+/- ft of road frontage )) .. this lot is cleared with a awesome lay of land for building!!! ** FIBER INTERNET AVAILABLE ** Calling all L A K E L O V E R S KY LAKE short drive away! Cane Creek full service Marina approx 18 min drive. **NO HOA.. See property restrictions in place to uphold the integrity of your property in The KY Reserve** || No Mobile Homes on lots 7-12 || NEW Survey Available **AWESOME COUNTRY SETTING with convenience** (( More acreage options available for purchase - ask listing agent for more info )) LOCATION: Close proximity to schools, KY Lake, Land Between the Lakes recreation area, McKinnon Air Strip, boat ramps, and approx. 30 min commute to Clarksville and Dickson!! See or request PDF documents of survey, restrictions, and more from list agent.
Properties marked with the IDX logo are provided courtesy of the RealTracs Internet Data Exchange Program. Some or all of the listings may not belong to the firm whose website is being visited (Benchmark Realty, (615) 915-7121). IDX information © 2025 MTRMLS, Inc. Information is believed to be accurate but not guaranteed by the MLS or Benchmark Realty. IDX information is provided exclusively for consumers' personal, non-commercial use and may not be used for any purpose other than to identify prospective properties consumers may be interested in purchasing. Data last updated 2025-11-17T20:09:25.557.
Based on information submitted to the MLS GRID as of 2025-11-17T20:09:25.557. All data is obtained from various sources and may not have been verified by broker or MLS GRID. Supplied Open House Information is subject to change without notice. All information should be independently reviewed and verified for accuracy. Properties may or may not be listed by the office/agent presenting the information.
Click here for MLS GRID DMCA Notice

Offered by simpliHOM: .
Copyright 2025 RealTracs, Inc. Information Is Believed To Be Accurate But Not Guaranteed. Listings courtesy of Realtracs MLS as distributed by MLS GRID.